Connecticut law defines wetlands as more than just naturally occurring bodies of water like bogs, marshes and swamps. Unfortunately for Haddam resident Dale Clegg, manmade ponds can also fit the definition, and it has led to an ongoing legal battle that has prevented him from working on his property for close to two years.

In May 2024, Clegg purchased an undeveloped lot in Haddam for the purpose of passing it on to his three grandchildren. Clegg said that since day one, the neighbors of the lot, which is located at 24 Bartman Road, have given him grief.
“The day after I bought the place, the guy with the driveway, he walked to my yard and told me that I’m not gonna be able to do anything with this lot, and he’s gonna see to it that it doesn’t happen,” said Clegg. “Then the next neighbor, a few days after that, made the same kind of comments — that they can put me in the system, [so] that I’ll never be able to do anything for years.”
The entry to Clegg’s backlot property, a thin 25-foot-wide stretch of land connecting it to the road, has been lined with rip-rock; small, loose, jagged stones used to prevent erosion. Clegg wanted to smooth out the harsh rock with a thin layer of sand, which he then planned to hydroseed. Given that the lot is a residential property, Clegg figured he was within his rights to do so. Unfortunately for Clegg, the project has gotten him tied up in a lawsuit with the Town of Haddam – with town officials taking issue with its proximity to “wetlands.”
In this case, “wetlands” refers to an artificial pond on his neighbor’s property, a pond Clegg contends shouldn’t be considered wetlands by any rational definition.
“A year and four months now I’ve been under cease and desist,” said Clegg. “It screams bullying, it screams harassment — it’s totally way out of line, and it’s so blatant. It’s in black and white.”
Upon taking a deep dive into the state’s wetland laws, however, it is easy to see where the “black and white” nature of the property dispute fades to gray.
Inside Investigator reached out to Haddam officials for this story, but they declined to respond.

Clegg’s Story
“I bought this land for my grandkids,” said Clegg. “To put in the trust fund for them.”
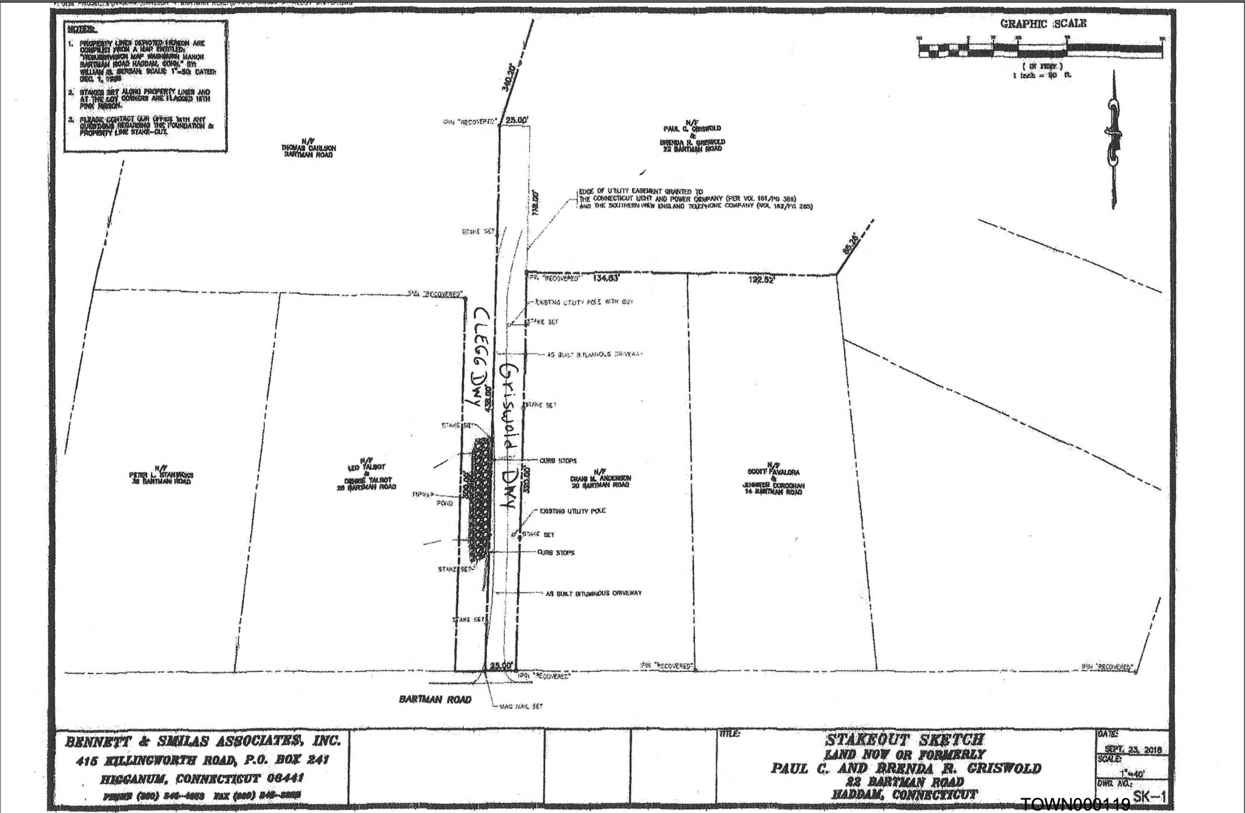
Slightly less than 4 acres, Clegg’s parcel is an interior residential lot connected to Bartman Road by a 25-foot-wide, 438-foot-long stretch of land. To the property’s right is another interior lot, 22 Bartman Road, that is similarly connected to the road via a 25-foot-wide, 320-foot-long stretch of land. Directly to its left is a parcel between Clegg’s and the street, 28 Bartman Road. Clegg described his lot as a hotdog, nestled between the “two buns” of 22 and 28 Bartman.


Left: an aerial view of Clegg’s property and its boundaries, highlighted in purple. Right: Clegg’s property access, lined with sand.
To explain his neighbors’ animosity, Clegg retold the neighborhood’s history. He said the subdivision was finished in the late 80’s and that Paul and Nancy Griswold, the owners of 22 Bartman, built their house on the property in 1988. Clegg said the other neighbors at that time, Leo and Denise Talbot, purchased their house at 28 Bartman in 1995. While the Griswolds and Talbots put down roots over 30 years ago, Clegg’s property remained undeveloped and unoccupied, a status quo Clegg believes his neighbors want to preserve.
“The people on each side of this lot have been the original buyers of these lots, and they built homes,” said Clegg. “My lot, that I had just purchased, was vacant the last 30 years, so they had liberties and took advantage of it.”
Clegg’s issues began with his driveway. He said that when viewing the property lines, the Griswolds’ driveway encroaches on his property line, leaving him with only 12 feet to access his property instead of 15 feet. On the other side, the Talbot’s pond further constricts his access. Clegg said his access was elevated due to the Talbot’s pond, and that the embankment was covered “haphazardly” with rip rock. Clegg smoothed out the steep slope of the embankment with sand, in hopes of planting a lawn.
“The grandkids were always playing on this rip rock,” said Clegg. “So, what I decided to do, I have all the sand available, so I put it in across the rip rock, and I [could] put a sod on there, and hydro seeder, and just make it safer and more comfortable for us.”
Clegg said that started a dispute with the Talbots, who asked that he put up an engineering wall, which Clegg estimated would cost about $100,000, to protect the pond on their property. Clegg said the wall would not be feasible, not only for the price, but because it would further limit his access to the property.
Furthermore, the Griswolds have told him he can’t use their driveway to access his property, despite the fact that a portion of it is allegedly located on his property, and despite the fact that Clegg found proof of a town-approved plan which he says indicates the driveway was meant to be a communal driveway, shared between the Griswolds’ and the original owners of Clegg’s parcel.
“My property access has already been approved back in 1989, and it’s even on town records, but they [the town] choose to ignore that,” said Clegg.
Inside Investigator attempted to reach the Talbots and Griswolds via phone and email, but received no response.

Clegg’s Municipal Dispute
On August 15, 2024, only three months after the Cleggs’ purchased the property, and shortly after he dropped sand over the rock, Haddam officials issued Clegg a cease-and-desist letter. The letter followed a visit to Clegg’s property by Haddam’s Zoning Enforcement Officer, Leon Mularski, who claimed to have received a complaint.
“We have observed filling taking place on your right of way spilling over onto your neighbor’s property located to the west of the right of way located at the address above,” wrote Leon Mularski, Haddam’s Zoning Enforcement Officer. “The work consists of filling in the right of way in a possible wetlands area.”
Mularski determined Clegg to be in violation of Section 6 of Haddam’s Wetland regulations, which state, “No person shall conduct or maintain a regulated activity in a regulated area, including the upland review area, without first obtaining a permit.” One such regulated activity is “removal or deposition of material.”

While satellite photos showing the parcel’s property lines would indicate that a portion of the pond is on Clegg’s property, he disputes this, instead saying the pond is “encroaching” on his property.
The cease and desist marked the beginning of Clegg’s dispute with the Town over the matter. On Aug. 24, 2024, Clegg wrote a letter of appeal to Mularski. In the letter, Clegg stated he thought the cease and desist was “wrongly placed.”
“Our property has been negatively affected by the pond activities from 28 Bartman,” wrote Clegg. “It is their responsibility to provide a barrier to insulate us from erosion.”
On Oct. 29, the Cleggs appeared before the town’s Zoning Board of Appeals (ZBA) to discuss the matter. Clegg said that Bill Warner, Haddam’s Town Planner, indicated to him that he must go before the ZBA to appeal the stop work order.
“So that guy, the town planner, is the one who handed us that application to fill out, and he told us how to fill it out, for this appeal for the wetlands complaint,” said Clegg. “That stop work order says, “possible wetlands violations;” why would I go to ZBA for that?”
Meeting minutes reflect that zoning board members were similarly confused, as the issue of potential wetland disruption does not fall under their purview.
“The Cleggs’ were given the wrong paperwork to fill out for this appeal, they should go before the IWC [Inland Wetlands Commission] and the money paid for the ZBA appeal should be refunded to them,” read the minutes.
On November 8, 2024, the Cleggs received a Notice of Enforcement from Mularski. The notice said that the Town “is required to take the following enforcement action,” as there had been “no response” to the original notice. It told the Cleggs that they would have the ability to plead their case at a hearing held within the next ten days. That hearing occurred on November 18.
At the hearing, Clegg explained his view of the situation to the commission, and Thomas Worthley, the IWC’s Chairman, explained to Clegg that state and federal regulations require him to have a permit, “to place any kind of fill in a wetland and that’s what triggered the Cease and Desist Order.”
Worthley noted that the presence of water doesn’t define a wetland, the soil does. Connecticut’s Inland Wetlands and Watercourses Act define wetlands as any land, “which consists of any of the soil types designated as poorly drained, very poorly drained, alluvial, and floodplain.”
In Mularski’s Stop Work Order, he provided Clegg with a list of soil scientists to contact, but Clegg worried using them could be a “conflict of interest.” He was also angered at the prospect of paying for a soil engineer to test a pond that wasn’t on his property.
“Mr. Clegg, Sr. asked why he would have to do testing on his neighbor’s land as there is no water on his land,” reads the minutes of the November 18, 2024, IWC meeting. “Mr. Worthley stated the first step is determining where the wetlands soils are. Mr. Clegg, Sr. stated he will not pay for the testing, and he will be appealing the matter.”
IWC members also told Clegg that to get his application approved, he would need to show the Commission an engineering report, displaying the nature of the work he intended to complete, as well as the exact steps and equipment he would use to do so. Again, Clegg did not wish to comply.
“Mr. Worthley informed Mr. Clegg, Sr. that the enforcement letter will remain in effect, the Commission will need an application to stabilize the slope and once received, the Commission can act on it and perhaps the Cease and Desist order can be lifted at that time,” read the minutes. “Mr. Clegg, Sr. stated he will not pay for an engineering report.”
This pattern continued. Clegg met before the IWC twice more, on Dec. 16, 2024, and January 21, 2025. At the Dec. 16 meeting, IWC members discussed Clegg’s application to hydroseed. Stephens told Clegg that he felt the Commission was “not in a position to address the hydro-seeding,” noting that some of Clegg’s fill was not on his property. Clegg voiced disagreement, noting he had stakes up on his property line that clearly show the fill is on his land alone.


Left: Clegg’s slope, with stakes defining property line, prior to his work being done. Right: The slope and sand after his work was finished.
Stephens said the IWC also wished Clegg had brought more information as to how the seeding would be conducted.
“Mr. M. Stephens stated although he thinks the Commission should accept the application, start the clock, the Commission needs a lot more information before a decision can be made,” reads the minutes.
Additionally, the IWC agreed that until the cease-and-desist order was lifted, it could not accept his application. They scheduled a site visit and asked for Clegg to have an “engineered document outlining what it what and how to best protect the wetlands.” The site visit occurred on January 11, 2025.
At Clegg’s last IWC meeting, on January 21, Worthley said that due to the cease-and-desist, the Commission would have to either table the application and extend it until it’s lifted or deny the application without prejudice, allowing Clegg to come back and re-apply after it was lifted.
Throughout the three meetings, IWC members seemed skeptical of whether Clegg’s choice of fill was sufficient for hydro-seeding and were concerned it could possibly slide down the hill and interfere with the Talbots’ pond. Minutes reflect IWC members pondering over the potential for an engineered wall or difference in substrate. Clegg vehemently opposed the idea of paying for a wall, feeling it is his own property access being encroached upon by the pond.
“They want me to build an engineered wall between his property and ours,” said Clegg. “They want me to support that or finance that engineering wall, which in turn, would ‘complement my access to my property,’ they said. I thought, well, if I already have an approved driveway, why would I want to change that?”

Dispute Turns to Suit
Town officials filed suit against the Cleggs on January 29, 2025, accusing them of failing to remediate the area while continuing to violate the cease-and-desist order.
“As of the date hereof, Defendants have not remediated the wetland area which was impacted by their illegal activity, have failed to install appropriate erosion and sediment controls, and have failed to apply for wetlands permit for such activities,” reads the complaint. “The Defendants continue to be in violation of the Cease and Desist Order and the Regulations, have failed to remediate the Properties, and continue to violate the Cease and Desist Order.”
Clegg “called the suit “frivolous,” and thought the town had “weaponized” its wetlands regulations to force him into reconfiguring his property access in a way that appeased his neighbors.
“They figured that I was going to concede and be submissive almost instantly,” said Clegg.
Clegg said he first consulted a lawyer, but when they told him his best bet was to negotiate a settlement, he and his wife decided to go it alone.
“I’m an honorary old Yankee, and I’m just saying I did nothing wrong here,” said Clegg. “No, I’ll stand my ground.”
Clegg accused the Town of “total perjury,” for claiming he had not filed an application for a wetlands permit or responded inadequately to the Town’s inquiries. Clegg’s court filings include minutes of every meeting he and his wife attended with town boards in response to the matter, as well as his applications for permits filed through the ZBA on August 28, 2024, and through the IWC, on December 6, 2024. Clegg believes the Town is knowingly trying to misrepresent him as a scofflaw.
“They neglected to admit that we have the appeal; we have that on file,” said Clegg. “They neglected that we went to the Wetlands meeting, the ZBA meeting; we have that on file. You can’t say we didn’t do anything for those three months. They make it sound like we totally disregarded the rules and regulations, yet we were consumed and occupied every single month with meetings.”
Clegg was also offended by another section of the Town’s complaint, which asserts that his actions “resulted in irreparable harm and injury in that they have destroyed and/or damaged wetlands and/or watercourses and its functions.”
“Can you imagine making statements like ‘I killed wildlife, I ruined the wetlands environment?’” asked Clegg incredulously. “I don’t know if you’re familiar with wetlands, which I respect wholeheartedly and I understand is very important, but this has no bearing on wetlands. There’s no wetlands around there at all — this is just a hole in the ground that they put their water in.”
Perhaps the most damning piece of evidence in support of Clegg’s hunch that the Town is weaponizing the law against him is the fact that they approved a permit application submitted by the Talbots on January 31, 2025, which sought approval for roof work. The application, made to the town’s building and zoning department, requested permission to “remove existing roof shingles, install full ice water shield, drip ledge, starter shingle, ridge cap + ridge vent where exists, flash chimney, install architectural shingles.”
One box on the form asks applicants whether any work would be done within 100 feet of a wetland or watercourse; the Talbots checked no. Their application was approved on Feb. 10, 2025.
Clegg says the Talbots’ house is 35 feet away from the pond, and that “if the Plaintiff is correct that it is wetlands, then they should have met the same requirements that have been imposed on the Defendants.”
The Town’s Motion for Summary Judgment, filed on November 26, 2025, clarifies that Clegg’s insistence to avoid paying for a soil scientist or engineer is what prompted the town to file suit.
“Between the Notice, the Order and the Hearing, Defendants were told approximately a dozen times to submit the necessary application for a wetland permit such that the Commission could better understand the Property’s topography and such that Defendants could obtain necessary permits,” reads the Town’s motion. “Nevertheless, Mr. Clegg responded to the Commission that “he [would] not pay for an engineering report,” that he would not “pay for the testing” to determine whether wetlands soil was present and that he would be appealing.”

Soil Science; Not a Wetlands but a Watercourse
After the case was filed, Clegg decided to hire a soil scientist, James Sipperly. On May 6, Sipperly wrote a report which Clegg is confident will assist him in his legal efforts.
“Based on my field observations and using the guidelines established by the National Cooperative Soil Survey and as defined by the Connecticut General Statutes, I did not observe any inland wetland soils in this area,” wrote Sipperly.
Clegg said the pond was made in 1995, when the Talbots “dug a big hole in the yard to steal the material to build a house up, in the upper level of the lot.” In Sipperly’s letter, he noted that the pond was made in 1988.
“This hole was used thereafter for catching gray water from the house; putting drains, sump pump, roofing drains, all the gray waters,” said Clegg. “So, it’s not wetlands, it never should be wetlands. If you’re dealing with your water that you created, not Mother Nature, then you’re responsible for maintaining and controlling it.”
Sipperly confirms Clegg’s assertions that the pond consists of the Talbots’ runoff.
“The homeowner of the pond installed a sump pump that runs constantly into the pond and there are footing drains that discharge to the pond as well,” wrote Sipperly. “Also, roof water from the gutters and an artesian well overflows into the pond. The water level varies at times against the driveway slope.”
Clegg also has paperwork that would support his argument against a wetland designation. Included in his court filings is a photo of the Town’s wetlands map of his neighborhood, which clearly shows no wetlands recorded on his neighbor’s property. Unfortunately for Clegg, though, wetlands are only one of the things covered by the state’s Inland Wetlands and Watercourses Act.

“The edge of the existing pond that was created in 1988 (I was told without a permit) is the jurisdictional line to define a watercourse, which by definition includes, lakes, ponds, rivers, brooks and streams,” wrote Sipperly. “I did not delineate this edge because it is very obvious and would have disturbed the relatively stable slope.”
Per General Statutes 22a-38, watercourses include all the features that Sipperly listed. The law also states that watercourses can be “natural or artificial, vernal or intermittent, public or private, which are contained within, flow through or border upon this state or any portion thereof.” The criterion for watercourses is evidence of erosion, deposits of fine silt/mud, a defined channel of water, and aquatic plant life, such as cattails.
Per state laws, any “regulated activity” which includes “filling or depositing thereon of any soil, stones, sand, gravel, mud, aggregate of any kind,” either upon a wetland or watercourse, first requires a permit.
“Such application shall include a detailed description of the proposed work and a map showing the area of wetland directly affected, with the location of the proposed work thereon, together with the names of the owners of record of adjacent land and known claimants of water rights in or adjacent to the wetland of whom the applicant has notice,” reads the General Statutes.
While Clegg’s work does not occur on the watercourse, as the minutes of various IWC meetings reflect, it occurs in what is called the “upland review area.” These are areas adjacent to wetlands or watercourses. In Connecticut, municipal officials are allowed to set boundaries for wetland review areas. Per Haddam’s wetland regulations, any land within 100 feet of a wetland or watercourse is considered an upland review area, meaning that any regulated activity conducted in that range would require a permit.
As for the fact that the pond isn’t included on Haddam’s Official Inland, Wetlands and Watercourses Map?
“In all cases, the precise location of regulated areas shall be determined by the actual character of the land, the distribution of regulated soil types, and locations of watercourses,” reads Section 3.1 of Haddam’s wetlands and watercourse regulations. “Such determination shall be made by field inspection and testing conducted by a certified soil scientist where soil classifications are required, or where watercourse determinations are required, by other qualified individuals.”
As Sipperly, a soil scientist, already defined the pond as a watercourse, it doesn’t matter whether Clegg can show the absence of the pond on the town’s wetland and watercourses map. However, it appears that even the Town officials themselves were not clear on this point, because Mularski himself told Clegg in the November 18 IWC hearing that if the soil test showed that it isn’t wetlands, then the town would drop the issue.
“Mr. Mularski stated [in] his letter of 15 August 2024 [that he] recommends a soil scientist be brought in and an engineered plan put together based on the findings,” reads the meeting minutes. “Mr. Mularski also stated if in fact the soil scientist doesn’t find any soils that would give fact to a wetland consideration, then it turns into a civil matter between the owners of the adjacent properties.”
Sipperly, however, also acknowledged in his report that Clegg was in violation of the town’s regulations.
“Section 4.4 also states that anyone wishing to carry out a permitted use as of right,
should first contact the designated wetland agent prior to conducting the work,” wrote Sipperly. “This is what Mr. Clegg failed to do. I am certain that if he did, the present outcome of things that followed regulatory would be much different.”

What Now?
Just as Clegg has faith that Sipperly’s report would help absolve him of his legal issues, the Town has faith it will absolve them of theirs. Clegg highlighted sections of Sipperly’s report that state he complied with the Stop Work Order, and that his fill did not harm the pond.
“Mr. Clegg has not done any work on the site since the issuance of your order,” wrote Sipperly. “There has been no significant erosion from the slope into the pond because the fill material is well drained.”
The Town has pointed to Sipperly’s assertion that he failed to receive a permit, that the pond represents a watercourse, and that Clegg was in violation of the regulations.
“Defendants have benefited from numerous notifications regarding the Town’s concerns
of their violation of the Regulations, they have been granted an opportunity to be heard before the Commission and they know exactly what needs to be done at this point,” wrote town attorneys. “Nevertheless, they are refusing to take any appropriate or necessary actions to cure their violation of the Wetland Regulations.”
Per General Statutes 22a-36 through 22a-45, the Town is allowed to file suit even though Clegg has made continued attempts to appeal the matter, because it had already determined him in violation of the town’s wetland regulations.
Ironically, the path Sipperly recommended Clegg take to “remediate” the property varies very little from Clegg’s original plan. Sipperly said the slope should be covered with topsoil, seeded and mulched, that Clegg’s right of way be graded, seeded and mulched as well, and that “small diameter rip rap” should be installed along the pond’s edge. Sipperly recommended use of a “conservation seed mix,” containing wildflowers and native grasses for pollinators. Lastly, Sipperly said there was “an area of fill placed along the base of some mature trees that should be dug out so they do not die.”
“Based on my professional opinion as a Certified Soil Scientist and years of experience as a City Planner, I feel that this approach will negate the need to move forward with additional enforcement actions and will maintain and improve the existing high-quality functions of the pond and the environmental quality of the land along the right of way.”



Wow! Small town politics now a full contact sport-oof!
I am a developer. If it is an approved building lot, the owner can develop it and wetlands does not have jurisdiction. See Glastonbury Case Law. I have several issues here. The Zoning Enforcement Officer does not have jurisdiction as to Wetlands. So unless the ZEO is also the WEO Wetlands Enforcement Officer, the town cannot sustain the Cease and Desist. In Glastonbury, the WEO sought a cease and desist to prevent a property owner from working in wetlands. They lost in court as it was an approved building lot and the WEO had no jurisdiction. Also grading to improve an approved roadway or ROW is as of right. So the owner should seek a Motion to Dismiss the TRO as the town does not have jurisdiction to enforce. Sounds like local politics to me.
Also you may consider an action to quiet title and add a vexatious suit and/or infliction of emotional distress on your neighbors. If your use of the road threatens their pond, they must pay for the remedy if the road or ROW predated the pond. See Expressway Associates v. Friendlys, Conn. Appellate Court. Throw a lien on their property and/or notice of suit on the land records.
Key elements under Connecticut law (see cases such as Hickey v. Green, 200 Conn. 347 (1986) and Kuzmak v. Riviera Building Co.):
Start here. Take the article above and put it into AI LM Arena note it as Connecticut law and ask AI for a legal strategy and course of action.